Doing these walking tour posts has been an incredible journey of discovery for me. This, the third in the series, is about finding the locations of two historic sites within San Antonio that are deeply connected to the history of the city, the Texas Revolution, and the Alamo. However, they are not often talked about and, in some cases, are almost forgotten. And their locations are even more hidden than those sites that I’ve presented in my last two posts. I refer to them as the two lost cemeteries of old San Antonio.
The Journey of Discovery Begins

We’ll begin back at the San Fernando Cathedral. From there, we’ll walk west on W. Commerce Street until we reach S. Santa Rosa Street. Once there, you’ll see the historic Market Square, and next to it is Milam Park, our first stop.
Milam Park was named for Texas Revolution hero Benjamin “Ben” Rush Milam, who was killed during the December 1835 Battle of Bexar. The park was established in 1884 by the City of San Antonio, after the area was closed as the city’s cemetery. In 1938, a monument with a statue of Ben Milam (see map #1) was erected on the park’s west side. Milam is buried at the base of this monument. The history of this park and how “Old Ben” came to be buried there is an interesting one.
So, find a comfortable park bench and relax, while I tell their stories.
Milam Park

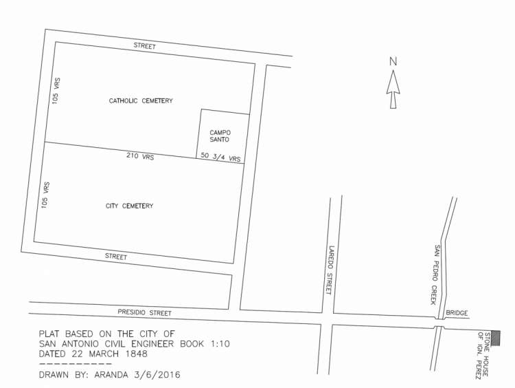
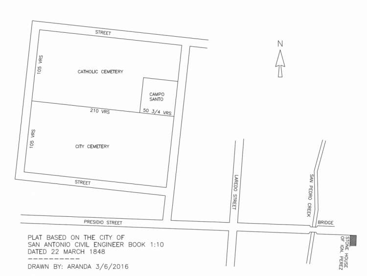
In the early history of San Antonio, where Milam Park is today, the land on the western edge of the town was vacant. Just to the north was San Fernando church’s Campo Santo, the church cemetery. Perhaps because it was so near to this cemetery, many non-Catholics began using this area to bury their dead. By 1848, the old Campo Santo was running out of room. To help solve this issue, the parish priest of San Fernando petitioned the City Council of San Antonio to designate the eight acres around the old Campo Santo to be used as a community cemetery.
The final approved plan created two sections, each measuring 291.66 feet by 533.32 feet. The north section, including the old Campo Santo, would be used by the church for Catholic burials. This section is now occupied by the Santa Rosa Medical Center and Children’s Hospital of San Antonio. The south section, which is now Milam Park, was set aside for the non-Catholics and was known as the “City Cemetery.” The dividing line between these two sections is roughly where West Houston Street is now. This 1848 plat diagram shows the layout of these two cemeteries.
As the City of San Antonio continued to grow, these cemeteries became boxed in, leaving little room for new graves. In 1853, the San Antonio City Council passed a resolution designating twenty acres of land on the eastern side of the city, near where the old Spanish powder house had been, to be used as public cemeteries. By the time the old cemetery was converted to Milam Park, most city burials were already taking place at the new eastern cemeteries.
When the city converted the old city cemetery into Milam Park, they relocated all the graves that could be identified to the new eastern cemeteries. That is, except one. The city’s leaders felt that “Old” Ben Milam should remain in the park that bears his name.
However, before Ben Milam’s remains would finally find rest beneath his statue in the park, they would be well-traveled and almost lost.
“Old Ben” Milam
On December 4, 1835, Benjamin Rush Milam became a legend of the Texas Revolution when, at the Siege and Battle of Bexar, he declared, “Who will go with old Ben Milam into San Antonio?’ He then led 300 Texian volunteers in an attack on the Mexican forces inside the town of San Antonio, thus ending a stalemated siege of the city. There is also an interesting historical paradox to this event. In the Battle of Bexar, it was the Texian forces on the outside attacking the Mexican soldiers inside the Alamo.
During the battle, Ben Milam met a tragic end when he was shot in the head by a Mexican soldier just outside the Veramendi House. There, in the house’s east yard, he was hastily buried. Milam’s body would remain there for several years before being exhumed and reburied in a corner of what would eventually become the city cemetery (Milam Park). From what I’ve been able to assess, this grave was either not marked or poorly marked at the time. I say this because in 1878, then San Antonio Mayor V. O. King stated that he had found Milam’s grave in the cemetery and placed on it a flat stone marker that simply read, “Milam.”
When the old city cemetery was converted into Milam Park, Ben’s body was once again moved, this time to the more proper place for a hero, the park’s center (See map #2). Eventually, the city and the De Zavala Chapter of the Daughters of the Republic of Texas placed a granite monument on his grave, with Milam’s famous call to action inscribed on it,
“WHO WILL FOLLOW
OLD BEN MILAM
INTO SAN ANTONIO.”
An interesting piece of history about this monument is that it was initially to have a statue of Milam on top of it (as the 1938 monument has), but it was never completed.

This granite marker has been the site of annual events celebrating fallen Texas heroes through the years. But by the 1950s, those events were discontinued, which led to the public forgetting the monument’s true significance. This lack of knowledge led to a sad turn of events in 1976.
In that year, Milam Park underwent a major beautification redesign. As part of this project, Milam’s granite monument was moved to the park’s west side, near the 1938 monument, where it is today (See map #3). The designers were unaware that this monument was Milam’s grave marker. And so, again, old Ben Milam’s bones would lie lost and forgotten, with all signs of their location erased beneath the new landscaping and sidewalks.
In 1992, plans were set to prepare and install a kiosk at the center of Milam Park. This kiosk was a gift from San Antonio’s sister city, Guadalajara, Mexico. But before work could begin, the Bexar County Historical Commission (BCHC) voiced concerns over the location of the kiosk. Their fears were that even though no one knew for sure, Ben Milam’s grave might be located there. The BCHC, the San Antonio Department of Parks and Recreation, and the Friends of Milam Park agreed to explore and see if Milam’s grave was indeed at that site. Their search didn’t take long before they had an answer.
Using records and old maps of the area, they determined where the center of the old cemetery had been. From this information, they selected the most likely location to begin digging. Using a backhoe, they soon uncovered a concrete slab measuring 57 X 57 X 18 inches. What they had found was the foundation on which the old granite monument had stood. Thankfully, they hadn’t moved that with the monument in 1976.
When the slab was lifted, beneath it, they found a grave with human remains. After an extensive archaeological and forensic study, it was determined that these remains corresponded to the known facts concerning Milam, including that this person had been shot in the head. The findings were conclusive; these were the remains of Benjamin Rush Milam.
On Sunday, December 11, 1994, a graveside service was conducted, after which the remains of Ben Milam were laid to rest at the base of the monument that bears his statue.
Our other lost cemetery is not too far from Milam Park, but its location is much more hidden, and its story much sadder. To start our search, we’ll walk over to the eastern side of the park, where you’ll find another monument.
Monument Honoring Early San Antonio Burials
On the park’s east side is a long and low structure with colorful tiles (See map # 4). This simple monument is often overshadowed by its tall statue-topped neighbor on the park’s west side. But unlike that neighbor to the west, this memorial doesn’t honor just one person. Listed on it are over 3,000 names of those who were buried in the old San Fernando Campo Santo and Catholic cemeteries. However, this monument of remembrance and honor doesn’t sit on the site of those cemeteries; that’s in a different location. But before we go and find where that was, I’ll tell of its sadder history.
The Old Campo Santo
By 1808, the small cemetery in front of San Fernando church became overcrowded, causing the need for a new parish cemetery. They selected a parcel of open land just outside the town on the west side of Pedro Creek. There, they built the walled Campo Santo. This area would have been at the northwest corner of West Houston Street and North Santa Rosa Street. Besides being the sacred burial ground for the San Fernando Parish, this Campo Santa had a significant connection to the Battle of the Alamo.

Alamo defender Jose Gregorio Esparza had been killed while manning one of the cannons inside the Alamo’s church. Jose’s brother, Francisco Esparza, was a soldier in Santa Anna’s army. After the battle, Francisco pleaded with General Santa Anna for his brother’s body. Santa Anna granted Francisco’s request, allowing Jose Gregorio to be buried in Campo Santo. The Esparza family was known to have visited Jose’s grave for years after. As for the fallen Mexican soldiers, there are no records as to where in Campo Santo their graves might have been.
The Old Catholic Cemetery

As I wrote earlier, by 1848, Campo Santo was already running out of room. That’s when the parish priest of San Fernando church petitioned the City of San Antonio to create the two aforementioned city and Catholic cemeteries. This additional land also quickly filled up, again creating the need for more cemetery space. However, by then, there was no land available at that location for further expansion. This forced the church to find another site elsewhere. The parish secured land further south and opened San Fernando Cemetery #1.
By 1860, all church burials had stopped at the old Campo Santo and its adjacent Catholic cemetery. Even though new burials had been discontinued, families of those already resting there would visit the graves of their loved ones. The Esparza family was likely one of them. These visits continued until a strange, unusual, and tragic event took place sometime in the 1920s.
According to sources, within a single 24-hour period, the bodies buried in Campo Santo and the Catholic cemeteries were hastily exhumed, moved, and reburied in San Fernando Cemetery #1. Since it was done in such a hurry, some of the names of those moved were lost, leaving them to be buried in unmarked graves. There are no parish records as to what happened to the remains of Alamo hero Jose Gregorio Esparza. Was he moved and then also buried in an unmarked grave? Or was he even moved at all? This brings up a much darker and sadder story of what resulted from that hurried action.
Those Left Behind
In 2016, while digging in the garden of the Santa Rosa Medical Center, workers uncovered graves with human remains. There was little doubt amongst Archaeologists from the University of Texas that these were graves missed in the 1920s relocation. Sadly, this wasn’t an unusual occurrence. Quite often, graves and human remains have been found through the years on the grounds of what is now the Santa Rosa Medical Center and Children’s Hospital of San Antonio. How many graves are still there, no one knows for sure?
Finding the Location of the Old Campo Santo
To find the site where the old Campo San used to be, walk to the northwest corner of W Houston and N Santa Rosa Streets. At that corner, you’ll be in the general location of where Campo Santo had been.
Now covered over by two hospitals, it was here where Alamo hero Jose Gregorio Esparza and Santa Anna’s soldiers who died on the morning of March 6, 1836, were once buried.
My sources:
Broken links may still be accessible through the Wayback Machine at archive.org
Ayala, Elaine. “Experts looking for remains from the old cemetery in San Antonio.” Albuquerqueljournal, Albuquerque Journal/ San Antonio Express-News, 22 May 2017, http://www.abqjournal.com/1007131/experts-looking-for-remains-from-old-in-cemetery-in-san-antonio.html
Barajas, Michael. “Downtown Hospital Renovation Won’t Dig Up and Remove 200-Year-Old Human Remains After All.” San Antonio Current , San Antonio Current, 26 Jan. 2017, http://www.sacurrent.com//news/downtown-hospital-renovation-wont-dig-up-and-remove-200-year-old-human-remains-after-all-4544053.
“Bones Found in a Garden at a Texas Children’s Hospital.” Texas Hill Country News, Texas Hill Country News, 26 Sept. 2016, texashillcountry.com/bones-found-garden-hospital/.
City of San Antonio. “Miam Park History.” City of San Antonio, Center City Development & Operations Department , http://www.sanantonio.gov/CCDO/parksplazas/milampark/milamparkhistory
Eckhardt, C. F. “The Forgotten Hero, Ben Milam.” Texas Escapes, Texas Escapes , http://www.texasescapes.com/CFEckhardt/Ben-Milam.htm. Mar. 2022.
“Granite monument marking the site of Ben Milam’s grave, Milam Park, San Antonio. Texas 1927.” UTSA Libraries Special Collections DIGITAL COLLECTIONS, Digital UTSA, digital.utsa.edu/digital/p9020coll008/id/9839. Mar. 2022.
“History of San Antonio.” History of San Antonio, Wikipedia, Sept. 2019, en.m.wikipedia.org/wiki/History_of_San_Antonio
“Jose Maria “Gregorio” Esparza.” Find-a-Grave, Find-a-Grave, 30 Nov. 2019, www.findagrave.com/memorial/11690/jose-maria-esparza.
Lyle, Anthony S. “Exhumation and Analysis of Two Historic Burials from the Composanto at Santa Rosa Hospital. San Antonio .” Index of Texas Archaeology, Center for Archaeological Research , Mar. 2022, “Jose Maria “Gregorio” Esparza.” Find-a-Grave, Find-a-Grave, 30 Nov. 2019, http://www.findagrave.com/memorial/11690/jose-maria-esparza.
San Fernando Cathedral . “Our History.” San Fernando Cathedral, The Heart of San Antonio, San Fernando Cathedral, sfcatheral.org
“Siege of Bexar .” Siege of Bexar, Wikipedia, 19 Nov. 2019, en.m.wikipedia.org/wiki/Siege_of_B%C3%A9xar
Tennis , Cynthia L. “EXCAVATION IN A HISTORIC CEMETERY MILAM PARK PHASE ii.” Center for Archaeological Research , Center for Archaeological Research , 1995, car,utsa.edu/CARResearch/Publication/ASRFiles/201-300/ASR%2oNo.%20227.pdf.
Tennis, Cynthia L. “Exhumation of a Hero. Colonel Ben Milam, Milam Park, Phase I.” Scholarworks.sfasu, Scholarworks.sfasu, 1995, scholarworks.sfasu.edu/cgi/viewconteny.cgi?referer=htts.









Great to see you again with one of your outstanding posts!!
LikeLike
Thank you my friend
LikeLiked by 1 person
Hello, this is a very informative article. However, there are some broken links in your source list.
LikeLike
Thank for letting me know. And thank you for reading my posts.
LikeLike
Hi Alexandria. Broken links may still be accessible through the Wayback Machine at archive.org
LikeLike
i live on barrera St in Lavaca historic district in San Antonio was there ever a cemetery on our block ? Or was one used on our block during the battle Alamo?
LikeLike
Hi Bobby, first of all, thank you for reading my post on San Antonio’s forgotten cemeteries.
I’m in no way an expert on all the cemeteries in San Antonio. The focus of my post was those cemeteries once located at Milam Park and the Catholic Campo Santo. All were connected to the Battle of the Alamo. But saying that, I found no mention of a cemetery attached to the Alamo in your neighborhood.
However, while doing research for my posts on the Alamo Defender’s funeral pyres, I found that there were actually many cemeteries in San Antonio. These are presented in detail in the 2022 report, An Archival Archaeological Review of Reported Human Remains at Alamo Plaza and Mission San Antonio de Valero. The link to that study is https://search.app/YzhDKb9eoTzm95fTA. This should help in your search.
Good luck in your search.
Ron Current
LikeLike
thank you so much for the reply & I do I have been trying to find history on & around my neighborhood so any resource you can forward me is helpful. We are renovating our house & just trying to get some background
thanks again
Bobbie Jo Luna
LikeLike
Your welcome.
Good Luck
Ron C
LikeLike